Pelargonium - Scented Geraniums


return.gif (1190 bytes)

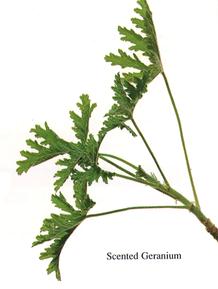
Characteristics: Rounded to finely cut, furry scented leaves. They can stay as low as 18 inches high or rise up to 3 feet high. The flowers are small and white, purple, or pink.

Growing Information: Grow in full sun and well-drained soil of average fertility. You can also grow them in pots outdoors on the patio in summer and indoors in a sunny window or light garden in winter. Fertilize with a balanced organic fertilizer when planting or repotting. Pinch or cut back occasionally to keep the plant bushy. Don't fertilize in winter unless the foliage discolors; then fertilize only lightly.

Cultivars and Related Herbs: There are dozens of different cultivars and species that vary in appearance and fragrance. A few favorites are listed below.

Lemon geranium (P. crispum) has a lemon fragrance, tiny lobed leaves with notched edges, and purple flowers. 'Rober's Lemon Rose' (P. graveolens) has a rose fragrance, pink flowers, and larger deeply cut leaves. P. g. 'Silver Rose' is similar but has gray leaves.

Propagation: Take cuttings in spring or fall to grow over winter indoors. Allow cuttings to sit overnight before putting in moist soil.

Possible Problems: Spray whiteflies with insecticidal soap.

Harvesting and Using: Pick individual leaves for herb wreaths, herb sugars, herb butters, teas, and cakes.

Scented Geranium